Russian Frisco - Русский Сан Франциско
Найди свое счастье, служба знакомств на RussianAmerica.COMРусские концерты на Американской сцене
. Russian America Top
Russian Frisco News. Новости на Русском Сан ФранцискоNews Russian Frisco - Events. События и Афиша на Русском Сан ФранцискоEvents Russian Frisco Yellow Pages. Жёлтые страницы Русского Сан ФранцискоYellow Pages Russian Frisco Classfieds. Объявления на Русском Сан ФранцискоClassifieds Russian Frisco Dating. Знакомства на Русском Сан ФранцискоDating Russian Frisco Forum. Дискуссионный клуб Русского Сан ФранцискоForum Russian Frisco Chat. Чат на Русском Сан ФранцискоChat
 News Central
В мире
  Политика
  Разное
Бизнес
  Деньги
Общество
  Мода
  Религия
  Светская жизнь
  Шоу Бизнес
  Пикантные новости
  Животные
  Криминал
Спорт
Искусство
  Кино
  Музыка
Авто
Hi-Tech
  Интернет
  Hardware
  SoftNews
Здоровье
Путешествия
Вокруг света
USA
Россия
  
Ресурсы
  Самые последние
  Самые читаемые
Архив
 Другие ресурсы
Все Ресурсы

Рассылки
Газеты
Журналы
ТВ - Online
Радио

Юмор
  Анекдоты
  Игры
  Этикетки
  
Открытки
  Поздравь друга
  
Программа TV
Кино
  Новости кино
  Кинообзоры
  
Музыка
  Радио в internet
  Russian Top
  
Спорт
Web Обзоры Exler.ru
  
Читальный зал
ЭКСпромт - статьи для чайников
Компьютерные игры
Finance News
Автообзоры
Russian America Journal Digest
 Смотрите также
Yellow Pages
Объявления
Чат
Форум
  последнее

Читальный зал
  Стихи
  Проза
  Кулинария

Едем в Америку!
  Иммиграция
  Визы
  Советы

Знакомства
Фотоальбомы
Top Rating
  America TOP
  
 
NEWS CENTRAL >> Hi-Tech

Hi-Tech

Запуск шаттла отложат из-за "Катрины"
2:28PM Thursday, Sep 22, 2005
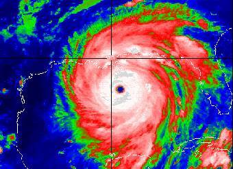
Ураган "Катрина" в инфракрасных лучах, фото с сайта Wikipedia

Ураган "Катрина" в инфракрасных лучах, фото с сайта Wikipedia
Ураган "Катрина" стал причиной того, что запуск шаттла будет в очередной раз перенесен, пишет газета Washington Times. Как сообщил Майкл Гриффин, глава космического агентства, теперь челнок сможет взлететь не раньше мая следующего года.

Завод Майхауд (Michoud Assembly Facility) в Новом Орлеане, где производятся внешние топливные баки для шаттлов, удалось спасти усилиями его сотрудников, но более трети из них остались без крова. Гриффин отметил, что если бы подача электричества была остановлена, восстановить затем производство было бы невозможно.

То же касается и Стеннисовского космического центра в штате Миссисипи. Обычно там проходят предполетные испытания космического корабля. Во время урагана в нем укрывались сотрудники NASA с семьями, и теперь многие из них, лишившись жилья, не могут вернуться к работе.

Напомним, в июле этого года после 30-месячного перерыва в космосе побывал космический челнок Discovery. За время полета эксперты обнаружили, что критические неисправности, приведшие к гибели челнока Columbia, устранить все-таки не удалось. В NASA решили внести в конструкцию корабля серьезные изменения перед новым полетом. Последний раз очередной выход в космос был назначен на март 2006 года.

По материалам lenta.ru
« « Вернуться       Далее » »
Другие новости по теме
  • Sony исправляет брак в консолях Playstation 2
  • В Бельгии будут производить самоуничтожающиеся портфели
  • Toshiba создала топливные MP3-плеера
  • Половина владельцев МР3-плееров хранит на них менее 100 песен
  • Число пользователей мобильной связи в мире превысило 2 млрд
  • Logitech выпустила крупноформатные беспроводные колонки
  • OLED-дисплеи набирают популярность
  • Playstation 3 обзаведется приводами Blue-Ray
  • Microsoft готовит ноябрьский сюрприз игроманам

    Далее » »   Digest | Архив »    
Смотрите также: Hi-Tech, Интернет, Hardware, SoftNews
 
Читайте также:

ESA выбрала мишени для космической стрельбы

Крупнейшую в мире реку взвесили

Создателями перуанских "дьявольских садов" оказались муравьи

Биологи выяснили, кто управляет атмосферой и океаном

Сенат Казахстана проголосовал за первый национальный спутник

Новый чилийский телескоп займется "холодной Вселенной"


Молнии над Москвой оказались термоядерными

Космический центр в Хьюстоне закрыватеся на время урагана

Зрение древнейшей рыбы удивило биологов

Mars Global Surveyor сфотографировал последствия марсианского землетрясения

Лунному экскаватору требуется конструктор

У сверхтяжелой черной дыры нашли неожиданных соседей

Голивудские студии объединились против пиратства

Toshiba превратила спирт в музыку

Эволюция в опасности

Российские полярники отправились в годовое плавание на дрейфующей льдине

Нобелевские лауреаты вступились за Дарвина

Австралийский профессор собирается отменить тригонометрию



Рассылки:
  Новости-почтой
  TV-Программа
  Гороскопы
  Job Offers
  Концерты
  Coupons
  Discounts
  Иммиграция
  Business News
  Анекдоты
Многое другое...

News Central Home | News Central Resources | Portal News Resources | Help | Login
 
Russian Boston Russian LA Holostyak.com Рейтинг@Mail.ru © 2026 RussianAMERICA Holding
All Rights Reserved • Contact